Zuidelijke Blokken

Voor de woningbouwvereniging De Sleutels in Leiden ben ik sinds 2023 als projectmanager betrokken bij het project De Zuidelijke Blokken.

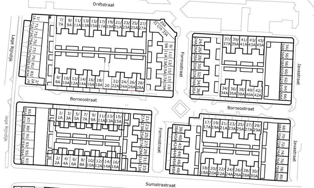
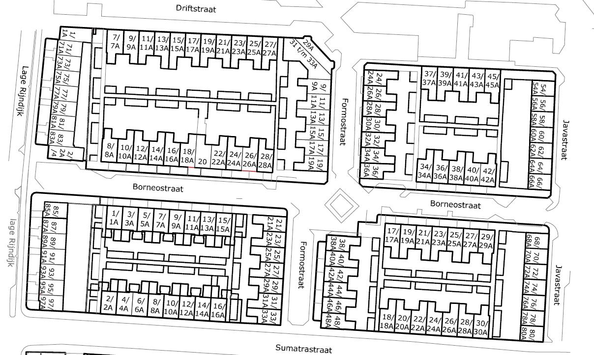
De Zuidelijke Blokken zijn het laatste deel van de wijkaanpak “De Oude Kooi. Dit project betreft de aanpak van 208 beneden- en bovenwoningen gelegen tussen de Driftstraat, Javastraat en Sumatrastraat.

Aanpak van de woningen is hard nodig en om de problemen die de huidige bewoners ervaren op te lossen is een (zeer) ingrijpende aanpak noodzakelijk: een hoog niveau renovatie of sloop/nieuwbouw.

We zijn in gesprek met de bewonerscommissie “De Oude Kooi” over de planvorming van de Zuidelijke Blokken. Er vindt structureel overleg plaats en we hopen in het najaar 2024 een keuze te hebben gemaakt.

Daarna gaan we de ontwerpfase in en de verwachting is dat de realisatie zal plaatsvinden tussen 2027 en 2029.

X